Solve problems in and around your home.
Start Problem Solver

Leaf hoppers are plant eating insects that can damage plants and transmit disease from plant to plant.
Leaf hoppers are either slim or delta shaped, often green or brown insects, but they can be a variety of colours. They eat plants and cause mottling of leaves and can spread disease. Leafhoppers can occur in large numbers during late summer and autumn.
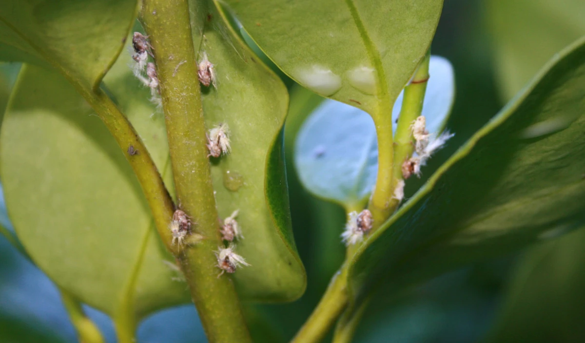
Young leaf hoppers are known as fluffy bums (see image). These small pale insects jump when disturbed or touched.
Damage usually occurs in summer & autumn and is mostly confined to mature leaves. You can usually tell you have leaf hoppers by pale yellowing of the foliage. Leaves develop typical areas of yellow speckling where leafhoppers have been sucking up plant sap. The damage caused is mostly cosmetic.
In autumn leaf hopper females lay eggs in the stems of host plants. Eggs hatch in spring. Young nymphs feed on the underside of leaves, developing through 5 growth stages before moulting as winged adult males and females. Mated females usually lay summer eggs in the veins of host plant leaves, where they are protected from some non-systemic pesticide sprays.
See also the Passion vine hopper.
To get rid of leaf hoppers follow these steps:
Control Ants and the Sap Sucking Insects they 'Farm' in Trees, Shrubs and Ornamentals
Horticultural oil protects your plants from a range of insect pests, mites and diseases.
Natural pyrethrum insecticide. Organic control of a wide range of insect pests on roses, ornamentals, trees and …
Fast acting pyrethrum insecticide that controls a wide range of insects.